

105 000 €
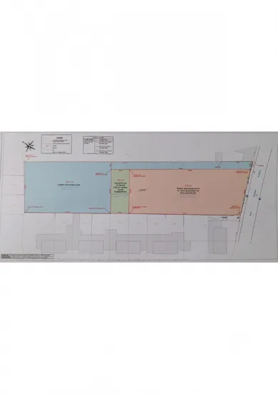
Terrain à bâtir de 1200 M2 environ sur une parcelle de 1748 M2, largueur de 50 M, longueur 48 M, servitude de passage de 4.50 de large sur 80 M de long Honoraires d'agence à la charge du vendeur. Bien non soumis au DPE. Les informations sur les risques auxquels ce bien est exposé, y compris l'obligation légale de débroussaillement, sont disponibles sur le site Géorisques : www.georisques.gouv.fr. La présente annonce immobilière a été rédigée sous la responsabilité éditoriale de M Frédéric Janvier mandataire indépendant en immobilier (sans détention de fonds), agent commercial de la SAS I@D France immatriculé au RSAC de Tourcoing sous le numéro 903794907, titulaire de la carte de démarchage immobilier pour le compte de la société I@D France SAS.
Réf : 1603628
soit
Honoraires TTC à la charge du vendeur
Voir le barème d'honorairesDiagnostic de performance énergétique (DPE)
Non requisIndice d'émission de gaz à effet de serre (GES)
Non requisBiens similaires
