

99 000 €
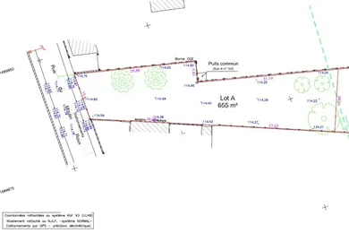
Situé sur la commune de Les Écrennes, dans un environnement calme et résidentiel, ce terrain à bâtir de 655 m² offre une belle opportunité pour concrétiser un projet de construction dans un cadre villageois agréable. Implanté hors lotissement, au cœur d’un secteur pavillonnaire, il bénéficie d’un environnement harmonieux et recherché. Le terrain présente une façade sur rue d’environ 10,41 mètres et une configuration en trapèze s’élargissant vers l’arrière, permettant une implantation intéressante pour un projet de maison individuelle tout en conservant un espace extérieur confortable. Classé en zone UB du Plan Local d’Urbanisme, correspondant aux extensions pavillonnaires du village, ce terrain permet la réalisation d’une maison individuelle dans un secteur déjà urbanisé. Le règlement autorise une emprise au sol maximale de 40 %, soit environ 262 m² constructibles au sol. La hauteur de construction peut atteindre 9 mètres au faîtage, permettant notamment la réalisation d’une maison de type R+1 (rez-de-chaussée + étage) selon la conception du projet. Les constructions peuvent être implantées à l’alignement ou en recul et doivent respecter les prescriptions architecturales locales, notamment des toitures en tuiles plates traditionnelles (65 à 80 au m²) afin de préserver l’harmonie du paysage urbain. Le terrain est libre du choix de constructeur, ce qui vous permet de concevoir votre projet en toute liberté. Tous les réseaux sont situés sur rue, facilitant la viabilisation. Étude de sol G1 disponible. La commune est située en zone B1 pour le Prêt à Taux Zéro (PTZ), un dispositif pouvant accompagner les primo-accédants dans leur projet de construction sous conditions d’éligibilité. Une belle opportunité pour imaginer et réaliser votre future maison dans un cadre paisible, au sein d’un village apprécié de Seine-et-Marne. Pour plus d’informations et organiser une visite, contactez-moi. Honoraires d'agence à la charge du vendeur. Bien non soumis au DPE. Les informations sur les risques auxquels ce bien est exposé, y compris l'obligation légale de débroussaillement, sont disponibles sur le site Géorisques : http://www.georisques.gouv.fr. La présente annonce immobilière a été rédigée sous la responsabilité éditoriale de M Ludovic De Temmerman mandataire indépendant en immobilier (sans détention de fonds), agent commercial de la SAS I@D France immatriculé au RSAC de MELUN sous le numéro 815000070, titulaire de la carte de démarchage immobilier pour le compte de la société I@D France SAS.
Réf : 1964734
soit
Honoraires TTC à la charge du vendeur
Voir le barème d'honorairesDiagnostic de performance énergétique (DPE)
Non requisIndice d'émission de gaz à effet de serre (GES)
Non requisBiens similaires




Villes à proximité