

168 000 €
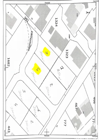
Deux Terrains constructibles à Monts-les-Bas (haut du Chemin Lebon) Opportunité à ne pas manquer ! Dans un secteur calme, recherché et parfaitement situé, découvrez ce terrain d’environ 350 m², plat, en zone UF, idéal pour votre future construction. 6 m à l’égout du toit ou au sommet de l’acrotère et à 11 m au faîtage. 50% emprise au sol ✔ Points forts : Terrain prêt à bâtir (réseaux électricité, eau et télécom à proximité) Environnement agréable à 380 m d’altitude À seulement 10 minutes du CHU Proche des commodités : commerces, écoles, transports Accès facile, quartier résidentiel prisé ⚠ Les terrains indiqués en jaune sur le plan sont déjà vendus. Idéal pour un premier projet, une résidence principale ou un investissement. Honoraires d'agence à la charge du vendeur. Bien non soumis au DPE. Les informations sur les risques auxquels ce bien est exposé, y compris l'obligation légale de débroussaillement, sont disponibles sur le site Géorisques : http://www.georisques.gouv.fr. La présente annonce immobilière a été rédigée sous la responsabilité éditoriale de M Mathieu Hoareau mandataire indépendant en immobilier (sans détention de fonds), agent commercial de la SAS I@D France immatriculé au RSAC de SAINT PIERRE DE LA REUNION sous le numéro 949522072, titulaire de la carte de démarchage immobilier pour le compte de la société I@D France SAS.
Réf : 1906676
soit
Honoraires TTC à la charge du vendeur
Voir le barème d'honorairesDiagnostic de performance énergétique (DPE)
Non requisIndice d'émission de gaz à effet de serre (GES)
Non requisBiens similaires



