

37 500 €
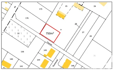
Terrain constructible – 750m² – À vendre, terrain constructible non viabilisé d’une surface totale de 750 m², idéalement situé à proximité immédiate d’un lotissement existant. - Terrain libre de constructeur - Environnement résidentiel - Réseaux à proximité (viabilisation à prévoir) Le bornage sera fait à la vente donc possibilité d'acquérir plus ou moins de surface si besoin. Une opportunité rare pour un projet de construction sur mesure. Honoraires d'agence à la charge du vendeur. Bien non soumis au DPE. Les informations sur les risques auxquels ce bien est exposé, y compris l'obligation légale de débroussaillement, sont disponibles sur le site Géorisques : http://www.georisques.gouv.fr. La présente annonce immobilière a été rédigée sous la responsabilité éditoriale de M Julien Pepe mandataire indépendant en immobilier (sans détention de fonds), agent commercial de la SAS I@D France immatriculé au RSAC de SEDAN sous le numéro 949408207, titulaire de la carte de démarchage immobilier pour le compte de la société I@D France SAS.
Réf : 1976881
soit
Honoraires TTC à la charge du vendeur
Voir le barème d'honorairesDiagnostic de performance énergétique (DPE)
Non requisIndice d'émission de gaz à effet de serre (GES)
Non requisBiens similaires


